Sulbiate - Spazio Commerciale in Vendita VENDITA

Via Edmondo De Amicis - Sulbiate (Monza e Brianza)
€ 69.531
  • 2 locali
  • 119 mq
  • 1 bagno

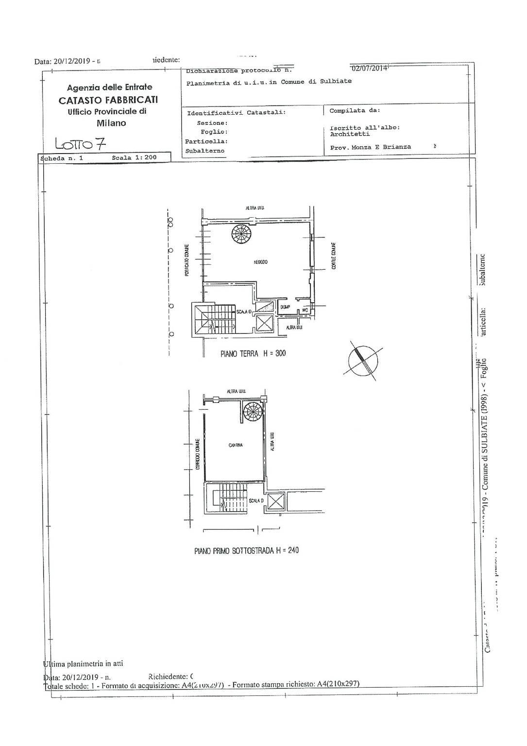
Negozio in Vendita a Sulbiate

SULBIATE Spazio Commerciale in Vendita – Condominio Arcimboldi
Nel cuore del paese, proponiamo un elegante spazio commerciale/ufficio al piano terra, ideale per chi desidera visibilità e luminosità.

L’immobile si presenta con ampie vetrine su strada, garantendo un’ottima esposizione e un ambiente accogliente. La soluzione è composta da un open-space versatile, un disimpegno con bagno e un comodo accesso al deposito di 41 mq  situato al piano interrato.

Viene venduto al rustico, offrendo la possibilità di personalizzare gli interni e scegliere le finiture secondo i propri gusti e le proprie esigenze, creando così lo spazio perfetto per il tuo business o attività.

Libero subito!
Non perdere questa opportunità: contattaci per maggiori informazioni o per fissare una visita!

LEGGI TUTTO

CONDIVIDI SUI SOCIAL

DATI PRINCIPALI

Riferimento
130663
Contratto
Vendita
Tipologia
Immobile - Negozio
Superficie
119 mq
Locali
2
Bagni
1
Piano
Piano terra
Totale piani
2

CARATTERISTICHE

Ascensore

COSTI

Prezzo
€ 69.531,00

EFFICIENZA ENERGETICA

Stato
Ristrutturato
Riscaldamento
Autonomo
Climatizzazione
Si
Classe energetica
G
IPE
351,00 kWh/m²a

A+

A

B

C

D

E

F

351,00 kWh/m²a | Classe energetica G

G

MAPPA

Sulbiate comune della Bassa Brianza Orientale o Vimercatese

ANNUNCI SIMILI