UFFICIO IN VENDITA – POSIZIONE STRATEGICA VENDITA

Via ai Campi - Cogliate (Monza e Brianza)
€ 109.000
  • 1 locale
  • 105 mq
  • 1 bagno

Ufficio in Vendita a Cogliate

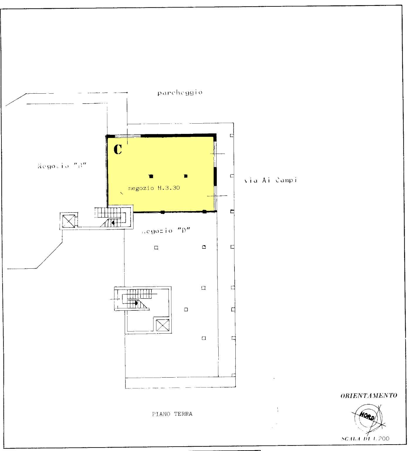
Proponiamo in vendita ufficio di 105 mq, situato in posizione strategica e ben visibile, ideale per studi professionali o showroom. L’immobile dispone di tre ampie vetrine fronte strada, che garantiscono eccellente luminosità e massima visibilità. All’interno è già presente un servizio igienico. Completa la proprietà un deposito sottostante di ulteriori 105 mq, accessibile dall’interno della palazzina tramite scala o ascensore, ideale come magazzino o spazio di stoccaggio. Il locale è dotato di impianto di riscaldamento autonomo ed è presente un ampio parcheggio pubblico esterno, comodo per clienti e fornitori. LIBERO SUBITO, rappresenta un’ottima opportunità per chi desidera avviare o trasferire la propria attività in uno spazio funzionale e ben organizzato.

LEGGI TUTTO

CONDIVIDI SUI SOCIAL

DATI PRINCIPALI

Riferimento
129811
Contratto
Vendita
Tipologia
Immobile - Ufficio
Superficie
105 mq
Locali
1
Bagni
1
Piano
Piano terra
Totale piani
3

CARATTERISTICHE

Ascensore

COSTI

Prezzo
€ 109.000,00
Spese condominiali
€ 60,00 / mese

EFFICIENZA ENERGETICA

Stato
Abitabile
Anno costruzione
1983
Riscaldamento
Autonomo
Classe energetica
F
IPE
175,00 kWh/m²a

A+

A

B

C

D

E

175,00 kWh/m²a | Classe energetica F

F

G

MAPPA

Cogliate comune della Bassa Brianza Occidentale

ANNUNCI SIMILI

VENDITA 13
€ 57.000
Ufficio in Vendita a Seveso (Monza e Brianza)
  • 2 locali
  • 60 mq
  • 1 bagno
VENDITA 20
€ 215.000
Ufficio in Vendita a Seregno (Monza e Brianza)
  • Più di 5 locali
  • 274 mq
  • 2 bagni