Prestigioso ufficio di 600 mq. nel cuore della Città VENDITA

Via 24 Maggio 1 - Desio (Monza e Brianza)
€ 690.000
  • Più di 5 locali
  • 640 mq
  • 4 bagni

Ufficio in Vendita a Desio

Un’opportunità unica per chi cerca spazi ampi, rappresentativi e carichi di fascino in una delle zone più centrali e riconoscibili di Desio. L’edificio stesso è un simbolo della città e garantisce una cornice di grande valore storico e architettonico.
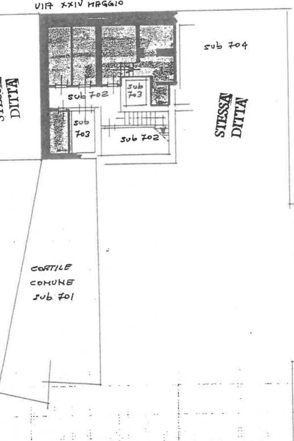
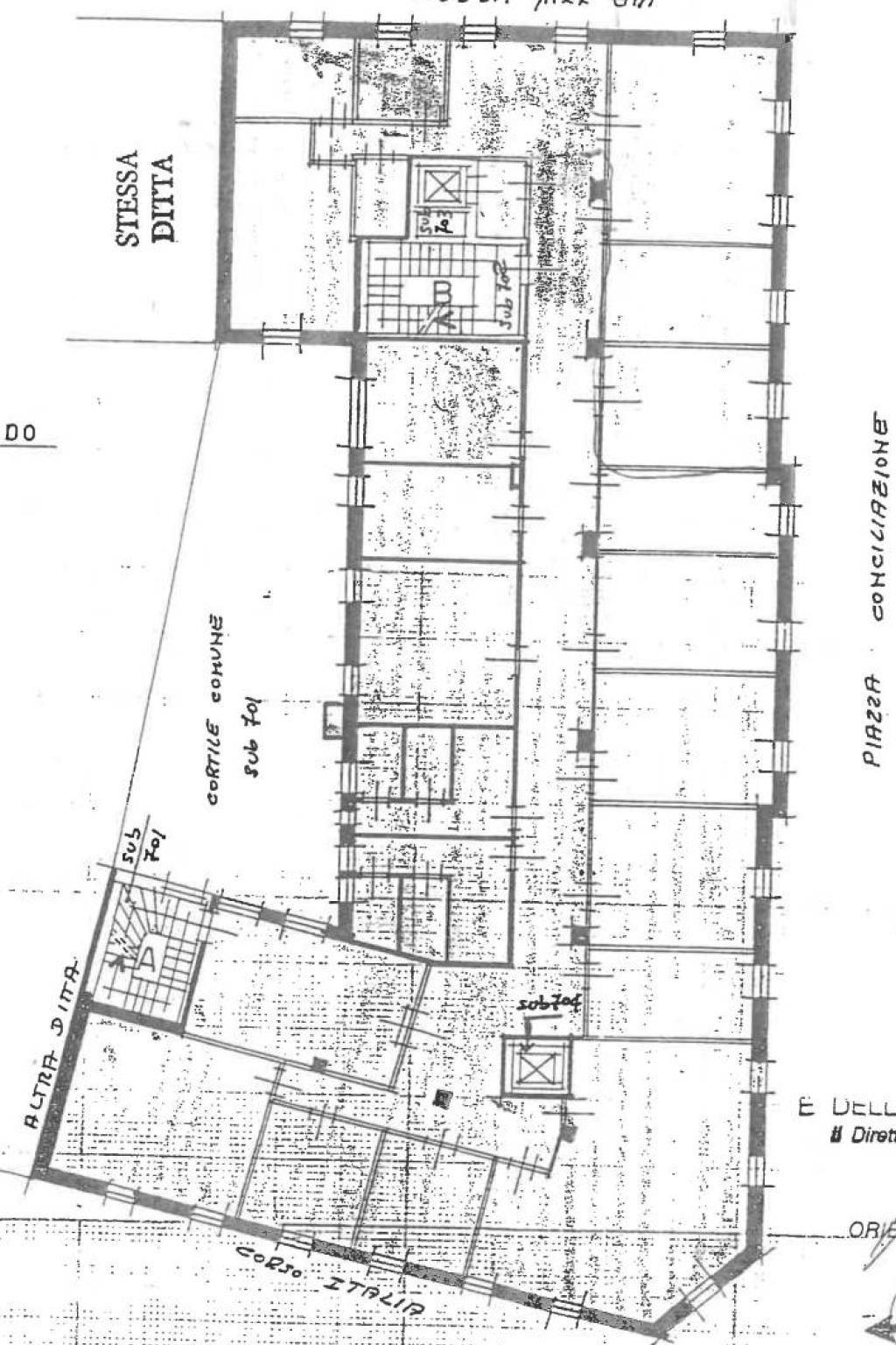
Nel pieno centro di Desio, affacciato sulla suggestiva piazza principale e con vista diretta sulla chiesa storica, proponiamo in vendita un affascinante ufficio di rappresentanza situato al secondo piano di un elegante edificio.
Con una superficie di circa 600 mq, l’immobile si compone di oltre 20 ambienti adibiti a uffici, tutti ben illuminati e distribuiti in modo funzionale. L’atmosfera è quella tipica degli immobili di pregio: e la posizione conferisce prestigio e visibilità a qualsiasi attività.
La struttura si presta perfettamente ad accogliere studi professionali, sedi aziendali di rappresentanza, studi associati di avvocati o commercialisti, ambulatori medici o chirurgici, centri sanitari, oppure ancora spazi dedicati al coworking, alla formazione o a realtà legate al benessere, come palestre e centri yoga. Completa la soluzione una cantina ed un ampio sottotetto da utilizzare come archivio.

METROSPAZIO è una azienda in forte crescita, è nata da oltre 20 anni per iniziativa di un gruppo di imprenditori che hanno avuto l'intuito di misurarsi con un nuovo concetto dell' abitare. Grazie al suo team di professionisti qualificati ed esperti, METROSPAZIO risponde alle specifiche esigenze del cliente nelle diverse fasi del processo di compravendita. I servizi offerti da METROSPAZIO comprendono sia l'intermediazione immobiliare che i servizi collegati ad essa, in piu' offre una consulenza progettuale per studiare nuove soluzioni abitative e di arredamento. I clienti che si affidano a METROSPAZIO per la vendita del proprio immobile potranno contare sulla promozione della proprietà tramite inserimento nei vari siti internet specializzati, uscite pubblicitarie sulle più prestigiose pubblicazioni locali e azioni di comunicazione varie. " Le informazioni del presente annuncio pubblicitario non costituiscono elemento contrattuale.

LEGGI TUTTO

CONDIVIDI SUI SOCIAL

DATI PRINCIPALI

Riferimento
126490
Contratto
Vendita
Tipologia
Immobile - Ufficio
Superficie
640 mq
Locali
Più di 5
Bagni
4
Piano
3 °
Totale piani
2

CARATTERISTICHE

Ascensore Allarme

COSTI

Prezzo
€ 690.000,00
Spese condominiali
€ 200,00 / mese

EFFICIENZA ENERGETICA

Stato
Ristrutturato
Anno costruzione
1950
Riscaldamento
Autonomo
Climatizzazione
Si
Classe energetica
A1
IPE
163,70 kWh/m²a

A4

A3

A2

163,70 kWh/m²a | Classe energetica A1

A1

B

C

D

E

F

G

MAPPA

Desio comune della Bassa Brianza Centrale Sud

ANNUNCI SIMILI

VENDITA 15
€ 319.000
Ufficio in Vendita a Muggiò (Monza e Brianza)
  • Più di 5 locali
  • 504 mq
  • 3 bagni
VENDITA 20
€ 215.000
Ufficio in Vendita a Seregno (Monza e Brianza)
  • Più di 5 locali
  • 274 mq
  • 2 bagni
VENDITA 18
€ 550.000
Ufficio in Vendita a Monza (Monza e Brianza)
  • Più di 5 locali
  • 330 mq
  • 1 bagno