Lissone, in zona strategica intero stabile VENDITA

Via Fratelli Bandiera 36 - Lissone (Monza e Brianza)
€ 490.000
  • Monolocale
  • 955 mq
  • 2 bagni

Palazzo/Stabile in Vendita a Lissone

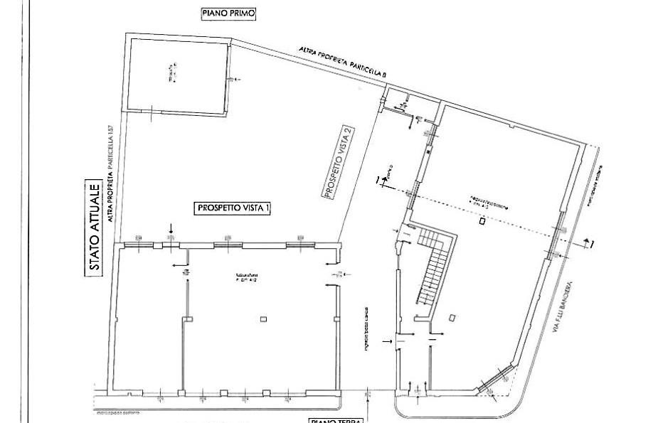
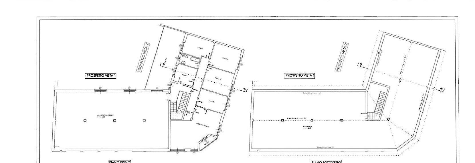
Lissone: in zona al confine con Monza e comoda per raggiungere tutti i servizi proponiamo intero stabile, di circa 1000 mq., da ristrutturare e con possibilità di ricavare diverse unità immobiliare residenziali e/o commerciali. Ideale per imprese o investitori. Dispone di cortile interno. Strutturalmente l'immobile è in ottime condizioni .Progetti in ufficio

METROSPAZIO è una azienda in forte crescita, è nata da oltre 20 anni per iniziativa di un gruppo di imprenditori che hanno avuto l'intuito di misurarsi con un nuovo concetto dell' abitare. Grazie al suo team di professionisti qualificati ed esperti, METROSPAZIO risponde alle specifiche esigenze del cliente nelle diverse fasi del processo di compravendita. I servizi offerti da METROSPAZIO comprendono sia l'intermediazione immobiliare che i servizi collegati ad essa, in piu' offre una consulenza progettuale per studiare nuove soluzioni abitative e di arredamento. I clienti che si affidano a METROSPAZIO per la vendita del proprio immobile potranno contare sulla promozione della proprietà tramite inserimento nei vari siti internet specializzati, uscite pubblicitarie sulle più prestigiose pubblicazioni locali e azioni di comunicazione varie. " Le informazioni del presente annuncio pubblicitario non costituiscono elemento contrattuale.

LEGGI TUTTO

CONDIVIDI SUI SOCIAL

DATI PRINCIPALI

Riferimento
132222
Contratto
Vendita
Tipologia
Palazzo/Stabile
Superficie
955 mq
Locali
1
Bagni
2
Piano
2 °
Totale piani
3
Box/Posto auto
Singolo

CARATTERISTICHE

Ascensore

COSTI

Prezzo
€ 490.000,00

EFFICIENZA ENERGETICA

Stato
Da ristrutturare
Anno costruzione
1970
Riscaldamento
Autonomo
Classe energetica
G
IPE
223,00 kWh/m²a

A+

A

B

C

D

E

F

223,00 kWh/m²a | Classe energetica G

G

MAPPA

Lissone comune della Bassa Brianza Centrale Sud

ANNUNCI SIMILI

VENDITA 20
€ 695.000
Palazzo/Stabile in Vendita a Muggiò (Monza e Brianza)
  • Più di 5 locali
  • 338 mq
  • 2 bagni
VENDITA 20
€ 980.000
Palazzo/Stabile in Vendita a Seregno (Monza e Brianza)
  • Più di 5 locali
  • 810 mq
  • 4 bagni