PICCOLO BILOCALE CON PORTICO IN CORTE IN CENTRO ARCORE VENDITA

Via Filippo Corridoni 1 - Arcore (Monza e Brianza)
€ 89.000
  • Monolocale
  • 38 mq
  • 1 bagno

Appartamento in Vendita a Arcore

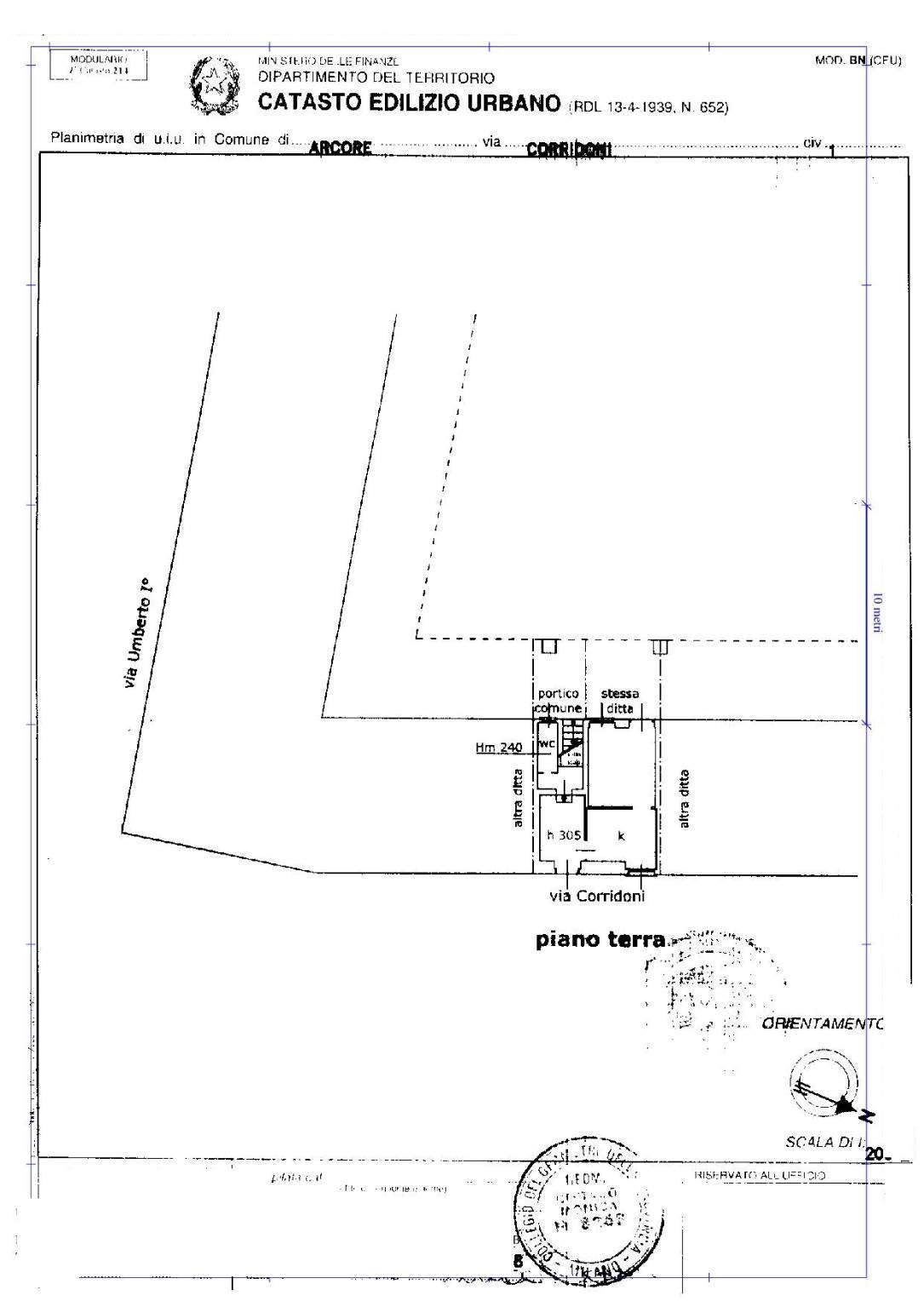
ARCORE Centro- con accesso sia da via Umberto I° sia da via Corridoni, in corte storica proponiamo in esclusiva di vendita mono/bilocale al piano terra con portico di proprietà.
L’appartamento è così composto: disimpegno di ingresso, bagno con ripostiglio, cucina abitabile, soggiorno/camera con accesso al portico coperto di proprietà, comodo per parcheggiare l’auto.
L’appartamento si presenta in ottime condizioni generali, il riscaldamento è autonomo con caldaia a condensazione, ubicato nel centro storico di Arcore è servito da tutti i beni di prima necessità: panettiere, salumiere, caffetteria e la stazione è a 5 minuti a piedi. Si presta ad essere acquistato come investimento per la locazione. Prezzo richiesto € 89.000 trattabili. Ape classe G 533.96. per info, e visite 3351878176. www.brianzacase.net

LEGGI TUTTO

CONDIVIDI SUI SOCIAL

DATI PRINCIPALI

Riferimento
133314
Contratto
Vendita
Tipologia
Appartamento
Superficie
38 mq
Locali
1
Camere da letto
1
Cucina
Abitabile
Bagni
1
Piano
Piano terra
Totale piani
1
Box/Posto auto
Singolo

CARATTERISTICHE

Ascensore

COSTI

Prezzo
€ 89.000,00
Spese condominiali
€ 30,00 / mese

EFFICIENZA ENERGETICA

Stato
Abitabile
Anno costruzione
1950
Riscaldamento
Autonomo
Classe energetica
G
IPE
533,96 kWh/m²a

A+

A

B

C

D

E

F

533,96 kWh/m²a | Classe energetica G

G

MAPPA

Arcore comune della Bassa Brianza Orientale o Vimercatese

ANNUNCI SIMILI

VENDITA 17
€ 89.000
Appartamento in Vendita a Arcore (Monza e Brianza)
  • Bilocale
  • 95 mq
  • 1 bagno
VENDITA 20
€ 145.000
Appartamento in Vendita a Arcore (Monza e Brianza)
  • Trilocale
  • 125 mq
  • 1 bagno