BILOCALE SEMI-INDIPENDENTE CON GIARDINO PRIVATO VENDITA

Viale Regina Margherita 126 - Macherio (Monza e Brianza)
€ 130.000
  • Bilocale
  • 71 mq
  • 1 bagno

Appartamento in Vendita a Macherio

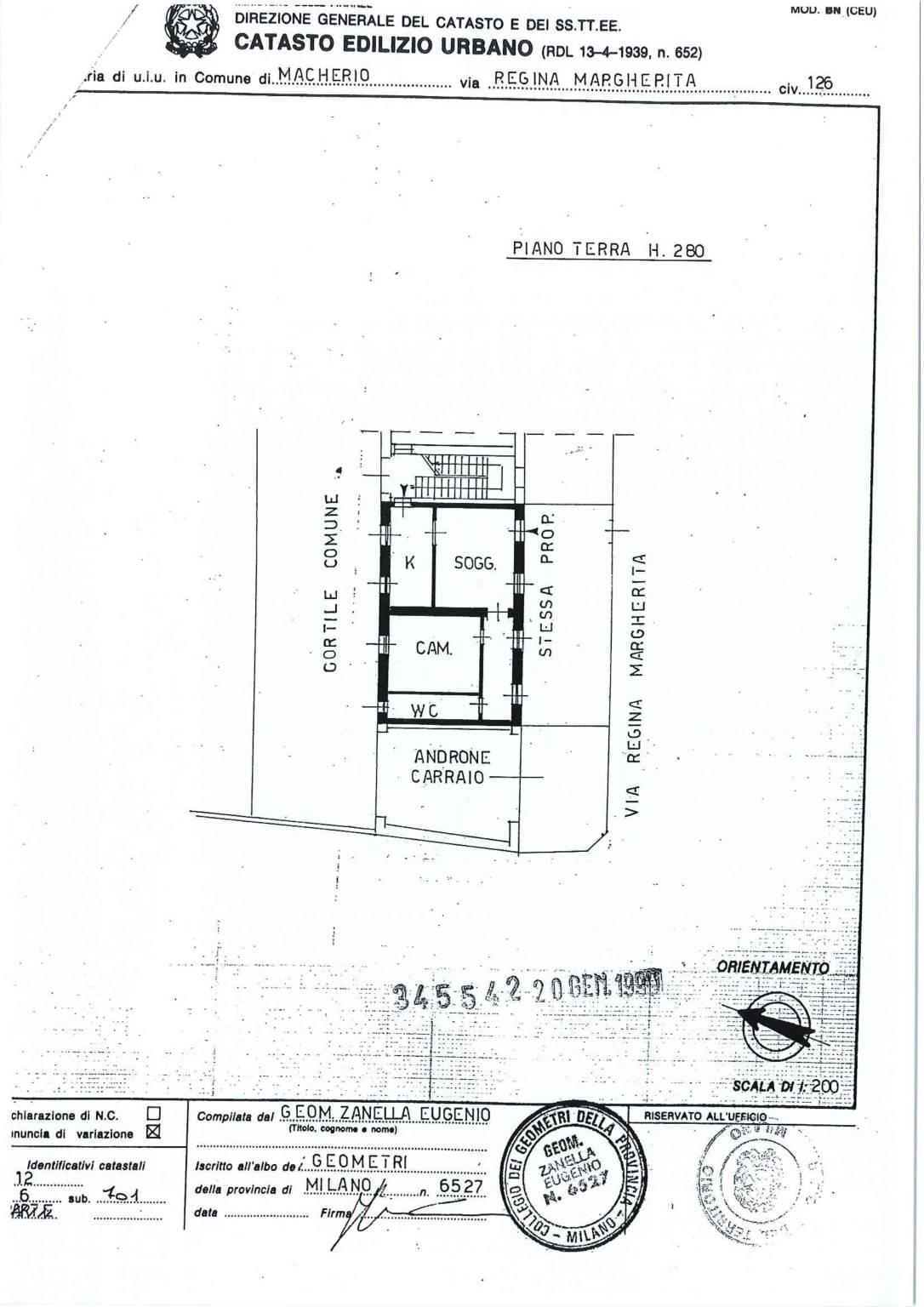
In posizione comoda e ben servita, proponiamo in vendita un bilocale di generosa metratura con accesso indipendente, situato al piano terra di una piccola palazzina rifinita esternamente in mattoncini a vista, priva di spese condominiali.
L’abitazione si sviluppa su circa 70 mq interni e dispone di un giardinetto privato di circa 25 mq, ideale per chi desidera uno spazio esterno da vivere in ogni stagione, per pranzi all’aperto, momenti di relax o attività quotidiane.
L’ingresso si apre su un soggiorno luminoso, separato dalla cucina abitabile. Un disimpegno ampio conduce alla camera matrimoniale e al bagno finestrato, situato all'inizio dell'appartamento sulla destra, suddiviso in antibagno e WC, e dotato di finestra.
L’appartamento si presenta in buone condizioni generali: da considerare solo un ripristino delle pareti. Gli infissi sono in PVC con doppio vetro e la caldaia a condensazione, appena sostituita, garantisce un riscaldamento autonomo ed efficiente.
La zona è residenziale e tranquilla, ma ben collegata: nelle immediate vicinanze si trovano negozi, scuole, farmacia e la stazione ferroviaria Macherio–Canonica (linea S7). Inoltre, grazie alla SS36, è possibile raggiungere rapidamente Monza, Milano e Lecco.
Una soluzione ideale per chi cerca indipendenza, nessun costo condominiale e uno spazio verde privato, in un contesto sereno e ben collegato.
Per maggiori informazioni o per fissare una visita, contattaci allo 039.2182147 o scrivi a info@specialhouse.it
SpecialHouse – Ti aiutiamo a trovare la casa giusta, con la cura che meriti.

LEGGI TUTTO

CONDIVIDI SUI SOCIAL

DATI PRINCIPALI

Riferimento
128127
Contratto
Vendita
Tipologia
Appartamento
Superficie
71 mq
Locali
2
Camere da letto
1
Cucina
Abitabile
Bagni
1
Piano
Piano terra
Totale piani
2

CARATTERISTICHE

Ascensore

COSTI

Prezzo
€ 130.000,00

EFFICIENZA ENERGETICA

Stato
Abitabile
Anno costruzione
1983
Riscaldamento
Autonomo
Classe energetica
E
IPE
175,00 kWh/m²a

A+

A

B

C

D

175,00 kWh/m²a | Classe energetica E

E

F

G

MAPPA

Macherio comune della Bassa Brianza Centrale Sud

ANNUNCI SIMILI

VENDITA 20
€ 240.000
Appartamento in Vendita a Macherio (Monza e Brianza)
  • Trilocale
  • 90 mq
  • 1 bagno
VENDITA 20
€ 260.000
Appartamento in Vendita a Macherio (Monza e Brianza)
  • Quadrilocale
  • 146 mq
  • 2 bagni
VENDITA 20
€ 165.000
Appartamento in Vendita a Macherio (Monza e Brianza)
  • Trilocale
  • 90 mq
  • 1 bagno
VENDITA 20
€ 105.000
Appartamento in Vendita a Macherio (Monza e Brianza)
  • Bilocale
  • 65 mq
  • 1 bagno