Laboratorio e Ufficio a Meda (MB) Via Dante VENDITA

Via Dante, 35 - Meda (Monza e Brianza)
€ 112.000
  • 2 locali
  • 150 mq
  • 1 bagno

Negozio in Vendita a Meda

LABORATORIO E UFFICIO IN VENDITA – CENTRO STORICO DI MEDA (MB)

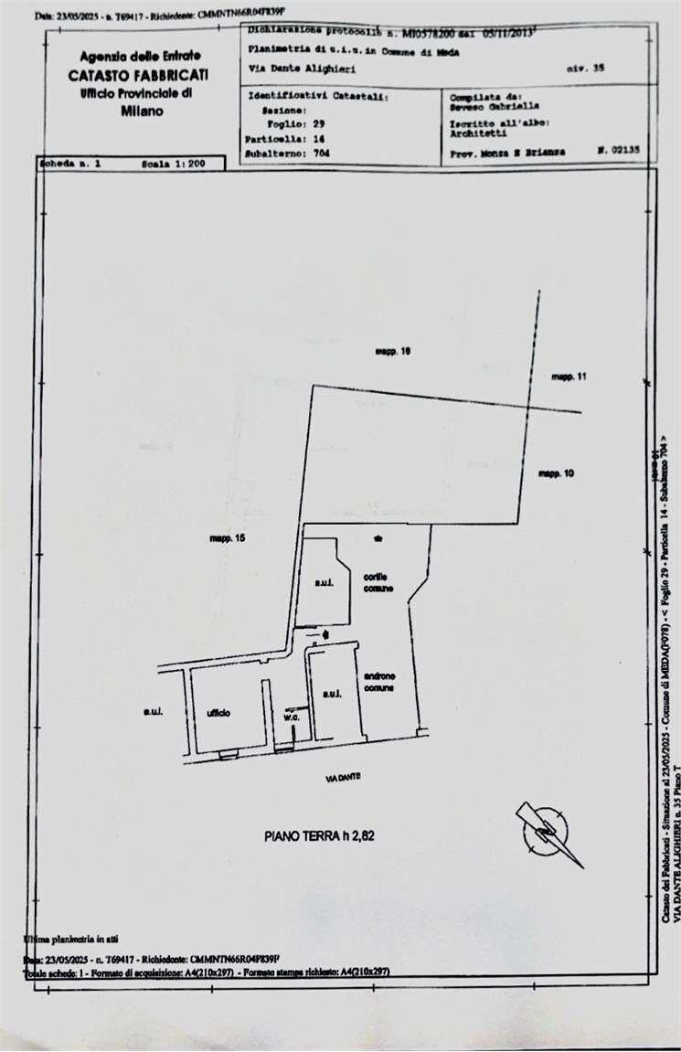
Proponiamo in vendita, nel cuore del centro storico di Meda (MB), un laboratorio e un ufficio posti all’interno di un piccolo cortile, in un contesto tranquillo e riservato.

Il laboratorio, di 105 mq, dispone di tetto recentemente rifatto e offre la possibilità di realizzare un bagno di servizio al suo interno.

L’ufficio, di 45 mq, dispone di un ingresso e bagno di servizio.

Entrambe le unità sono prive di spese condominiali, rendendole soluzioni ideali per attività artigianali, studi professionali o investimenti a reddito.

Contattaci per venire a vederli e scoprire tutte le potenzialità di questi spazi !

LEGGI TUTTO

CONDIVIDI SUI SOCIAL

DATI PRINCIPALI

Riferimento
129579
Contratto
Vendita
Tipologia
Immobile - Negozio
Superficie
150 mq
Locali
2
Bagni
1
Piano
Piano terra
Totale piani
1

CARATTERISTICHE

Ascensore

COSTI

Prezzo
€ 112.000,00

EFFICIENZA ENERGETICA

Stato
Abitabile
Anno costruzione
1970
Classe energetica
G
IPE
175,00 kWh/m²a

A+

A

B

C

D

E

F

175,00 kWh/m²a | Classe energetica G

G

MAPPA

Meda comune della Bassa Brianza Occidentale

ANNUNCI SIMILI

VENDITA 20
€ 285.000
Negozio in Vendita a Meda (Monza e Brianza)
  • Più di 5 locali
  • 360 mq
  • 3 bagni