RISTRUTTURAZIONE IN CASA INDIPENDENTE A CESANO VENDITA

Via Giuseppe Mariani - Cesano Maderno (Monza e Brianza)
€ 239.000
  • Trilocale
  • 95 mq
  • 2 bagni

Casa indipendente in Vendita a Cesano Maderno

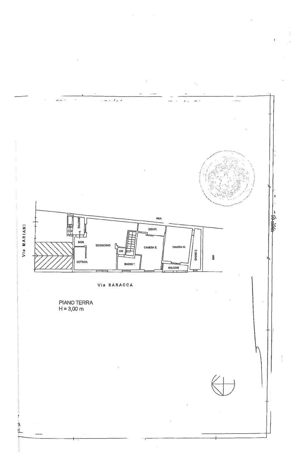
CESANO MADERNO - ZONA CENTRO - Poco lontano dal centro storico di Cesano Maderno, Studio Dg propone in vendita soluzione indipendente completamente ristrutturata nel 2022.
Il trilocale di 90 mq si compone al piano terra di ingresso su ampio soggiorno con balcone, cucina semi abitabile, disimpegno, camera padronale servita di bagno finestrato ad uso privato, cameretta e secondo bagno finestrato con box doccia.
Tramite scala interna si accede al sottotetto di proprietà. Dalla stessa accedendo al piano interrato, ritroviamo uno scantinato di circa 50 mq attualmente uso cantina e box dove vi è la possibilità di creare una taverna. Completa la soluzione una piccola area esterna di proprietà.
L'immobile gode inoltre di nuovo impianto idraulico, elettrico, zanzariere, inferiate e tapparelle elettriche.
SENZA SPESE !! Prezzo di richiesta attuale!!! Per maggiori informazioni contattateci al n. 0362-509166 oppure veniteci a trovare nel nostro ufficio in via Milano 45\A a Cesano Maderno

LEGGI TUTTO

CONDIVIDI SUI SOCIAL

DATI PRINCIPALI

Riferimento
125216
Contratto
Vendita
Tipologia
Casa indipendente
Superficie
95 mq
Locali
3
Camere da letto
2
Cucina
Abitabile
Bagni
2
Piano
Piano terra
Totale piani
1
Box/Posto auto
Singolo

CARATTERISTICHE

Ascensore

COSTI

Prezzo
€ 239.000,00

EFFICIENZA ENERGETICA

Stato
Ristrutturato
Anno costruzione
1970
Riscaldamento
Autonomo
Climatizzazione
Predisposizione
Classe energetica
F
IPE
450,00 kWh/m²a

A+

A

B

C

D

E

450,00 kWh/m²a | Classe energetica F

F

G

MAPPA

Cesano Maderno comune della Bassa Brianza Occidentale

ANNUNCI SIMILI

VENDITA 20
€ 400.000
Casa indipendente in Vendita a Cesano Maderno (Monza e Brianza)
  • Più di 5 locali
  • 407 mq
  • 1 bagno
VENDITA 19
€ 265.000
Casa indipendente in Vendita a Seveso (Monza e Brianza)
  • Trilocale
  • 155 mq
  • 2 bagni
VENDITA 20
€ 159.000
Casa indipendente in Vendita a Seveso (Monza e Brianza)
  • Più di 5 locali
  • 145 mq
  • 2 bagni
VENDITA 20
€ 220.000
Casa indipendente in Vendita a Barlassina (Monza e Brianza)
  • Quadrilocale
  • 155 mq
  • 2 bagni
VENDITA 20
€ 189.000
Casa indipendente in Vendita a Barlassina (Monza e Brianza)
  • Più di 5 locali
  • 236 mq
  • 3 bagni