MEDA - Capannoe produttivo mq 400 AFFITTO

Meda (Monza e Brianza)
€ 2.000 mensili
  • 1 locale
  • 385 mq
  • 1 bagno

Capannone in Affitto a Meda

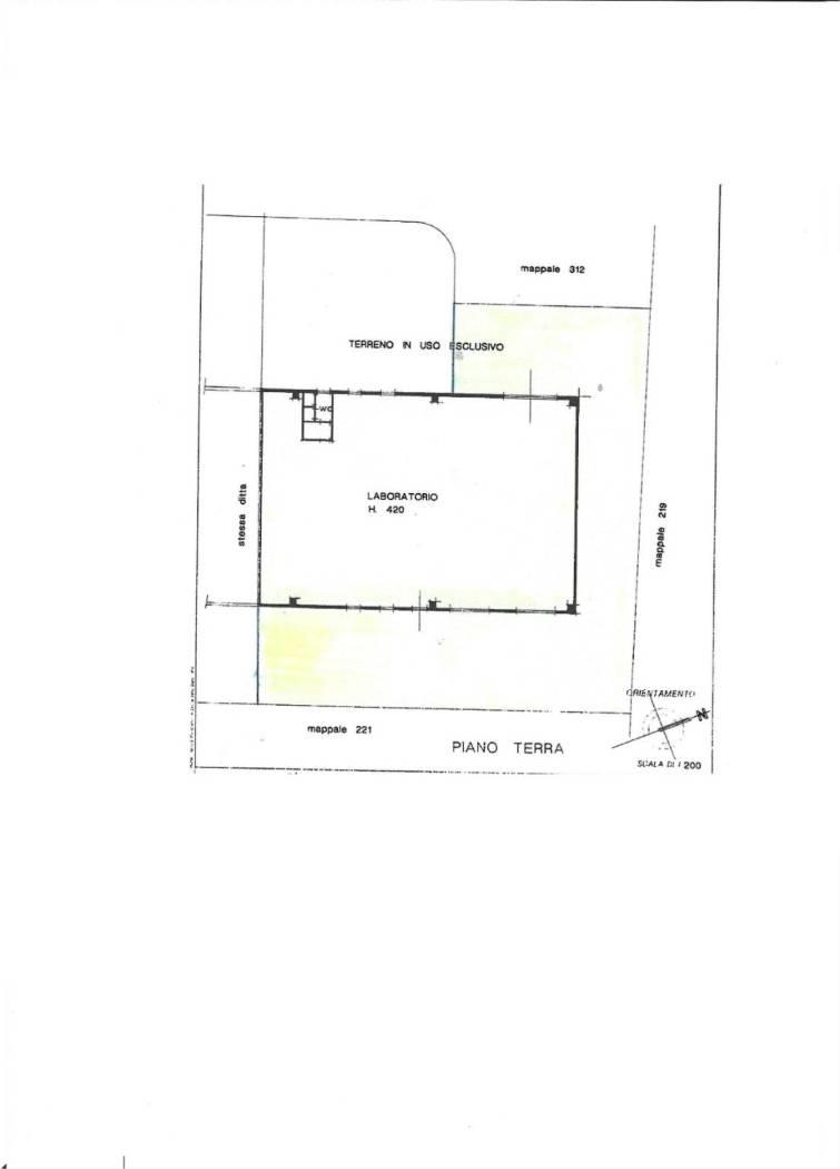
MEDA IN ZONA INDUSTRILAE ai confini con Cabiate e Seregno, in complesso immobiliare di 3 unità indipendenti, proponiamo capannone produttivo di mq 385 h. 4,20 m. posto al piano terra, ambiente unico, con piccolo ufficio e bagno. Portone carraio in ferro a pacchetto L. 3,90 - H. 4,00 m. - pavimento in battura di cemento - serramenti in allumino - impianto elettrico - impianto riscaldamento assente - area esterna uso esclusivo di mq 300. LIBERO A FEBBRAIO 2026 - il CANONE E' soggetto a IVA

CONDIVIDI SUI SOCIAL

DATI PRINCIPALI

Riferimento
126674
Contratto
Affitto
Tipologia
Immobile - Capannone
Superficie
385 mq
Locali
1
Bagni
1
Piano
Piano terra
Totale piani
1
Box/Posto auto
Doppio

CARATTERISTICHE

Ascensore

COSTI

Canone
Affitto € 2.000,00 al mese
Tipo locazione
4+4

EFFICIENZA ENERGETICA

Stato
Abitabile
Anno costruzione
1980
Classe energetica
G
IPE
175,00 kWh/m²a

A+

A

B

C

D

E

F

175,00 kWh/m²a | Classe energetica G

G

MAPPA

Meda comune della Bassa Brianza Occidentale

ANNUNCI SIMILI